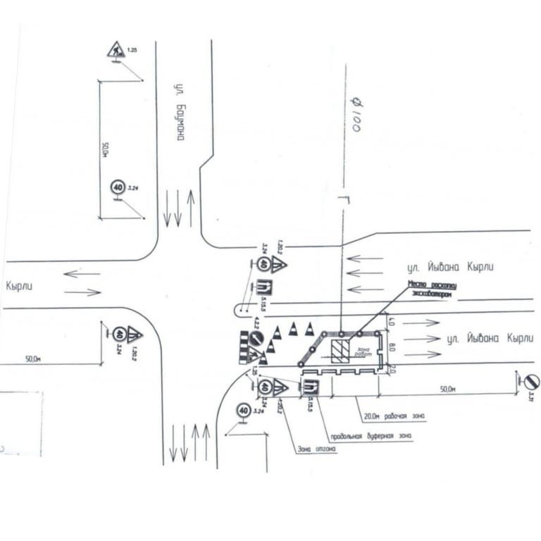
В Йошкар-Оле будет ограничено движение по улице Йывана Кырли.
Движение будет запрещено на пересечении с улицей Баумана. Ограничения будут действовать с 8:00 среды, 5 июня, до 20:00 пятницы, 7 июня.
По информации мэрии города, в это время на дороге будут проводиться работы по врезке газопровода.
В Йошкар-Оле из-за соревнований по картингу перекрыт центр.
Фото: источник photogenica, автор grigvovan, мэрия Йошкар-Олы



Хотите, чтобы Ваша новость появилась на сайте MariMedia.ru?